















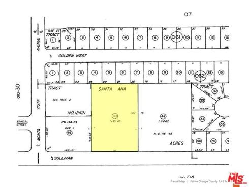
Investment Opportunities! Calling all Builders and Developers!!! Prime Orange County 1.45 Acres. Rarely offered 1.45 acres parcel in Orange County, California for $4,500,000. The land currently consists of two homes and storage areas for vehicles and equipment's. All tenants are on Month to Month lease. The property has a general land use designation of LR-7 and a zoning of R1 - allowing up to 7 homes per acre. More units can be added with the addition of ADUs. Please check with the City of Santa Ana for development potential and criteria. The subject property is addressed as 803 and 719 S. Sullivan Street. The 803 S. Sullivan Street property is composed of three detached buildings: a former residential home (constructed in 1961), a detached garage (constructed 1961), and ancillary building(added in 2013). The 719 S. Sullivan Street property is composed of one residential home (constructed circa 1927) and a small ancillary building (constructed circa 2011). The R1 Zoning allows a variety of uses which are primarily residential. Other uses including churches, temples, schools, adult and child care, and community centers are allowed via a conditional use permit. Please check with City Planning for all available uses. The surrounding neighborhood is primarily residential, with a mix of single-family homes and apartment complexes. Close by 405 freeway access and less than 6 miles from John Wayne Airport. The area is known for its cultural diversity and community-oriented atmosphere. Residents have access to various amenities, including schools, parks, shopping centers, and dining options, contributing to a convenient and comfortable lifestyle. The Downtown Santa Ana Arts District features galleries, boutique shops, and award-winning dining. Nearby, attractions like the Bowers Museum, Santa Ana Zoo, and Discovery Cube Orange County offer entertainment for all ages. The Orange County residential real estate market is one of the most dynamic and sought-after in the nation. Known for its high property values, the market offers a mix of luxury estates, single-family homes, condominiums, and new developments. As of December 2024, the average home value in Orange County, California, reached $1,149,480, reflecting an 8.3% increase over the past year. The median listing home price in November 2024 stood at $1.3 million, with a median sold price of $1.2 million. These figures indicate a robust and appreciating real estate market in Orange County, with home values experiencing consistent growth throughout 2024. Don't miss out on this rare chance to develop in Orange County's real estate market as an area renowned for its high desirability and strong investment returns. Please note: Buyers and their agents are to confirm the accuracy of all dimensions, the zoning, and their planned usage.